전후사진 | 예쁘면 DA야! 디에이성형외과 | 후기

본문 바로가기 헤더 바로가기 퀵메뉴 바로가기 푸터 바로가기
검색 검색 폼

여드름 치료

0
0

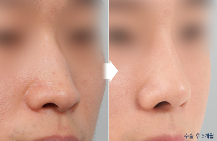
남자코성형 매부리코+복코+넓은콧대

1
1
1
1
1
1

남자코성형

2
2
2
2
2
2

여드름 치료

3
3

여드름 치료

4
4

남자코성형 코재수술

5
5
5
5
5
5
  • 여드름 치료 정면
  • 남자코성형 매부리코+복코+넓은콧대 측면
  • 남자코성형 측면
  • 여드름 치료 정면
  • 여드름 치료 정면
  • 남자코성형 코재수술 측면

자세히보기
닫기
닫기